- Price$4,999,000
- MLS #10332415
- Size2360 sqft
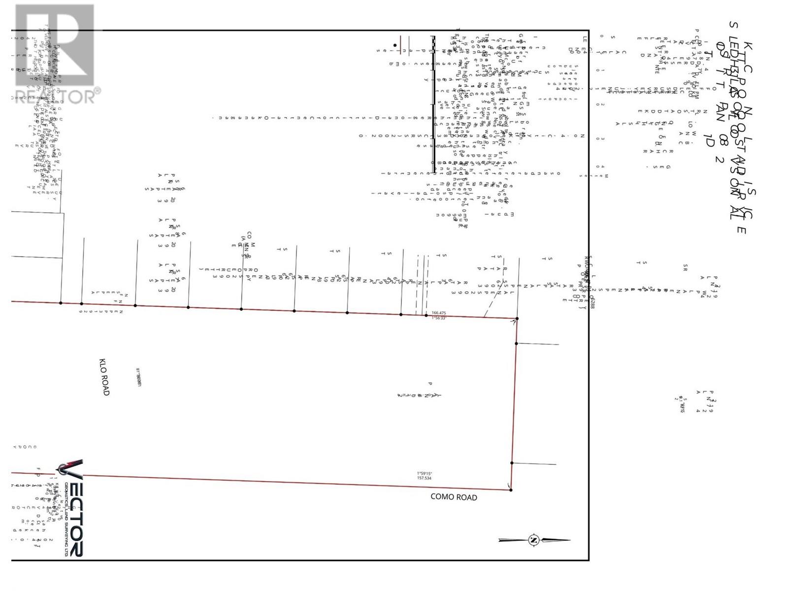
- Lot Size2 acres
- Bedrooms5
- Bathrooms2
- WaterMunicipal water
- SewerSeptic tank
- Property TypeSingle Family
- Zoning TypeUnknown
- Stories1
- Listing OfficeRE/MAX Kelowna
Prime location and great development potential!! This 2 acre property offers the potential for 8-9 MF1 lots. Also potential to rezone to MF2 to provide higher density. Centrally located with convenient access to a variety of amenities including golf courses, greenway, schools, shopping, dining and more!! Bring your development ideas to maximize the potential of this prime location. Would have to confirm these details with the City of Kelowna. (id:6770)

Want more information about the market or the process of buying or selling? Give us a shout! We'd be happy to help.