8724, 8730, 8734 Okanagan Landing Road Vernon

$7,000,000
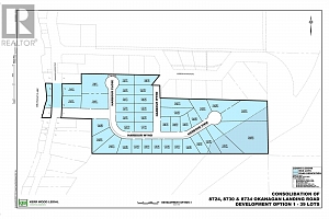
8724, 8730, 8734 Okanagan Landing Road - Photo 1
  • Price$7,000,000
  • MLS #10343784
  • Lot Size11.95 acres
  • WaterLake/River Water Intake, Municipal water
  • SewerMunicipal sewage system
  • Property TypeVacant Land
  • Zoning TypeResidential
  • Local AmenitiesGolf Nearby, Airport, Recreation, Schools, Shopping, Ski area
  • Listing OfficeColdwell Banker Executives Realty

Waterfront residential development. Never before brought to market as a nearly 12 acre parcel under rezoning application to MUS. Once rezoning is complete this beautiful set of lots will be ready to develop 39 or more lots. WATERFRONT access to 224' beach. And almost every home will have a view from the perfectly sloped hillside. All 3 lots have connection to sewer and municipal water. Only 9 minutes to/from Vernon town centre and 2 kms to the Yacht Club. On site currently is 1912 home of 2168 sq ft with a beautiful 138' dock that is only 5 years old. EIA, RAPR, Geotech, wildfire, and stormwater assessments completed to support the current development application. (id:6770)

Calculator Print

Contact Us for More Information

Ready to Meet?

Want more information about the market or the process of buying or selling? Give us a shout! We'd be happy to help.

 

Fill out my online form.