2640 Boucherie Road West Kelowna

$419,900
2640 Boucherie Road - Photo 1
  • Price$419,900
  • MLS #10362576
  • Lot Size0.15 acres
  • WaterMunicipal water
  • SewerMunicipal sewage system
  • ViewLake view, View (panoramic)
  • Property TypeVacant Land
  • Zoning TypeUnknown
  • Local AmenitiesAirport, Park, Recreation, Schools, Shopping, Ski area
  • Listing OfficeRoyal LePage Kelowna

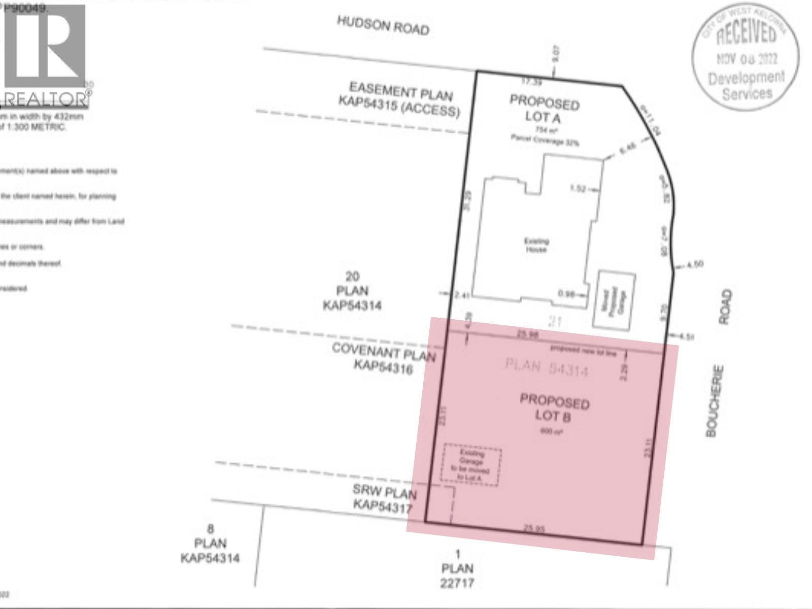
FULLY SERVICED LOT in the heart of West Kelowna’s Wine Belt, Lakeview Heights! Subdivision is awaiting final registration, and this property is serviced and ready for up to 4 units. With the City of West Kelowna adopting new BC regulations, R1 zoning now allows duplexes with secondary suites. The lot’s wide frontage supports an easy build with up to 50% site coverage and 3 stories in height. Build a duplex, a single-family home with suites, or design to fit your vision. Located steps from wineries, wine trails, schools, shopping, beaches, and just minutes to downtown Kelowna, this location blends lifestyle and strong future value. With no builder restrictions, no construction deadlines, and flexible building guidelines, you can create at your own pace. The seller is ready to make it happen: an excellent lot in a prime area, priced for today’s market. (id:6770)

Calculator Print

Contact Us for More Information

Ready to Meet?

Want more information about the market or the process of buying or selling? Give us a shout! We'd be happy to help.

 

Fill out my online form.